Home / PR / Fernandes Pinheiro / Imóvel rural Leilão Judicial Sítio c/ 48,4 hectares - Fernandes Pinheiro/PR

Imóvel rural Leilão Judicial Sítio c/ 48,4 hectares - Fernandes Pinheiro/PR

Link copiado para a área de transferência!
Leilão Judicial
1h 14m
Fernandes Pinheiro/PR

Lance inicial

R$ 4.995.120,00

Avaliação

R$ 4.995.120,00

Taxa de comissão

5%

DÊ SEU LANCE

Descrição do Imóvel

Título: Sítio c/ 48,4 hectares - Fernandes Pinheiro/PR
Tipo de imóvel: Imóvel rural
Estado: Paraná
Cidade: Fernandes Pinheiro
Bairro:
Número de identificação: LJ125184
Leiloeiro: Fabio Gonçalves Barbosa
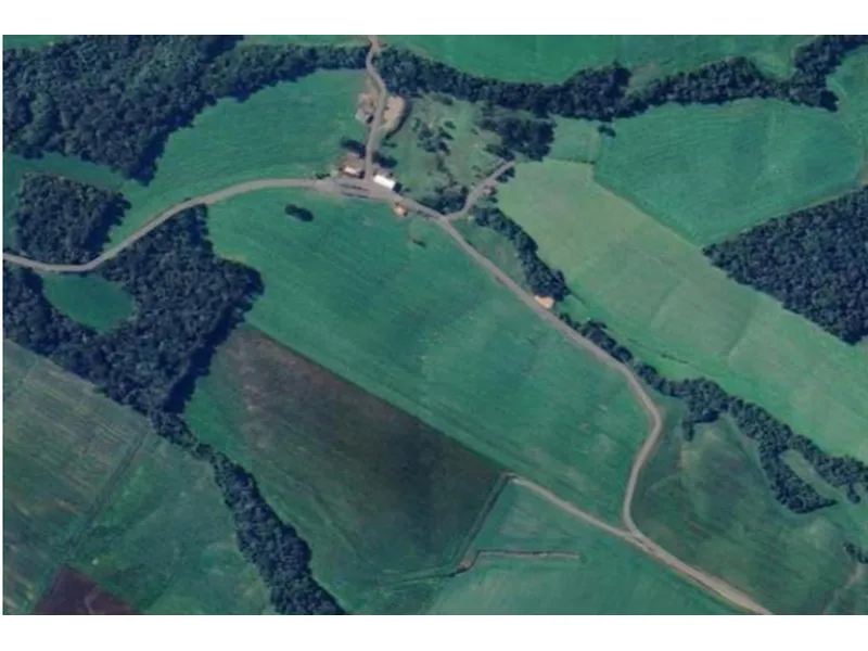
Descrição: Dê seu lance em Leilão Judicial de Imóvel rural. Sítio c/ 48,4 hectares (20 alqueires), c/ casa e barracão, situado no lugar denominado “Colonia São Lourenço”, Fernandes Pinheiro/PR, Incra sob o nº 709.077.007.870-3, CRI nº 909 de Teixeira Soares/PR. (Proc. 0000773-17.2023.8.16.0164)(O IMÓVEL PODE SER PARCELADO COM 25% DE ENTRADA E O RESTANTE EM ATÉ 30 MESES)Benfeitorias: Uma casa mista de alvenaria/madeira, coberta com telhas esmaltadas tipo colonial, forro em Pvc, janelas laterais em vidro temperado fumê e janelas da frente e fundos tipo vitrô metálico, medindo aproximadamente 160,00m²; Um barracão pré-moldado, coberto com telhas de fibrocimento 5mm, com pés direito de aproximadamente 5m de altura, com calhas laterais, medindo aproximadamente 450,00m², sem piso, com laterais revestidas parcialmente em alvenaria aproximadamente 1,80m. de altura) e o restante com chapas galvanizadas. 

Características

Tipo: Leilão Judicial

Condições

Forma de pagamento: Ver edital
Regra:Ver edital

Fase do Leilão

14/04/2026 às 14:00
1º Leilão

Lance inicial: R$ 4.995.120,00

Fabio Gonçalves Barbosa

14/04/2026 às 16:00
2º Leilão

Lance inicial: R$ 2.547.511,20

Fabio Gonçalves Barbosa

29/04/2026 às 16:00
3º Leilão

Lance inicial: R$ 2.547.511,20

Fabio Gonçalves Barbosa

Site do Leilão

Responsável pelo Leilão

Responsável

Justiça Estadual De Teixeira Soares/PR

www.fabiobarbosaleiloes.com.br

Calculadora de leilão

Resultado:

Custo Total Estimado: R$ 0,00

* O ITBI costuma variar entre 2% e 5%, consulte o município.
Escritura: geralmente entre 1% e 3% do valor do imóvel, conforme tabela do estado.
Registro: varia de 1% a 2%, dependendo da localização e tabela do cartório.
Considere outros custos também, como Honorários de Assessoria Jurídica, condomínio, etc.

Mais imóveis em leilão - Fernandes Pinheiro Paraná

Imóvel rural em Leilão Judicial
Leilão Judicial
1h 14m

Imóvel rural - Fernandes Pinheiro - PR

Fernandes Pinheiro/PR

1º Leilão

14/04/2026 às 14:00

Valor inicial

R$ 1.110.780,00

2º Leilão

14/04/2026 às 16:00

Valor inicial

R$ 566.497,80

3º Leilão

29/04/2026 às 16:00

Valor inicial

R$ 566.497,80

Avaliação

R$ 1.110.780,00

Economia de até 49.00%