Home / SP / Águas de Lindóia / Terreno Venda Direta Terreno c/ 994,50m² - Jd. Monte Alegre - Bairro do Pelado

Terreno Venda Direta Terreno c/ 994,50m² - Jd. Monte Alegre - Bairro do Pelado

Link copiado para a área de transferência!
Venda Direta
Águas de Lindóia/SP

Lance inicial

R$ 75.000,00

Economia de até 25.00%

Avaliação

R$ 100.000,00

Taxa de comissão

5%

COMPRE AGORA

Descrição do Imóvel

Título: Terreno c/ 994,50m² - Jd. Monte Alegre - Bairro do Pelado
Tipo de imóvel: Terreno
Estado: São Paulo
Cidade: Águas de Lindóia
Bairro:
Número de identificação: LJ99999
Leiloeiro: Joyce Ribeiro
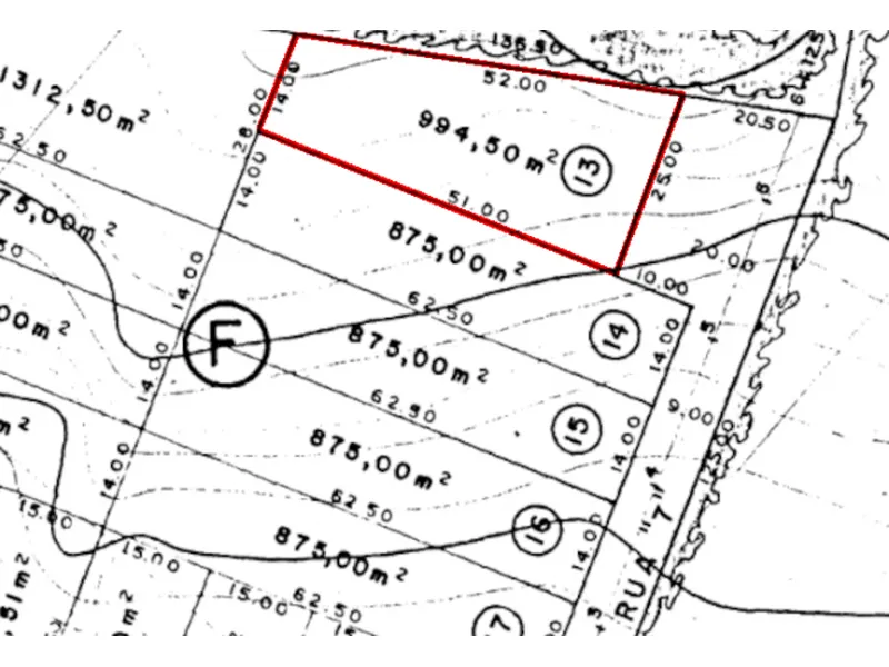
Descrição: Compre agora em Venda Direta de Terreno. Terreno c/ 994,50m², lote 13, quadra “F”, Lot. “JARDIM MONTE ALEGRE”, Bairro do Pelado, Rua 07, Águas de Lindóia/SP, Cad. Mun. nº 1.02.140.0336.001, CRI nº 6.648. (Proc. 5008269-04.2018.4.04.7100/RS)Para lances inferiores e/ou iguais a R$ 100.000,00 (cem mil reais) somente será admitido pagamento À VISTA.Obs.: O Lance Mínimo foi calculado considerando os termos do Art. 843, do CPC/2015, ou seja, reservando a cota parte do coproprietário ou cônjuge alheio à execução. Sobre a cota parte não se aplica parcelamento.LINK DE LOCALIZAÇÃO: https://maps.app.goo.gl/8pnbabKM4EncFs3v9

Características

Tipo: Venda Direta

Condições

Forma de pagamento: Ver edital
Regra:Ver edital

Fase da Venda Direta

05/11/2025 às 10:00
1º Leilão

Lance inicial: R$ 75.000,00

Joyce Ribeiro

28/11/2025 às 10:00
2º Leilão

Lance inicial: R$ 75.000,00

Joyce Ribeiro

22/01/2026 às 10:00
3º Leilão

Lance inicial: R$ 75.000,00

Joyce Ribeiro

Site da Venda Direta

Responsável pelo Leilão

Responsável

Justiça Federal De Porto Alegre/RS

www.jrleiloes.com.br

Calculadora de leilão

Resultado:

Custo Total Estimado: R$ 0,00

* O ITBI costuma variar entre 2% e 5%, consulte o município.
Escritura: geralmente entre 1% e 3% do valor do imóvel, conforme tabela do estado.
Registro: varia de 1% a 2%, dependendo da localização e tabela do cartório.
Considere outros custos também, como Honorários de Assessoria Jurídica, condomínio, etc.

Mais imóveis em leilão - Águas de Lindóia São Paulo

Casa em Venda Direta
Venda Direta

Casa - AGUAS DE LINDOIA-SP

RUA CAMPOS DO JORDAO,N. 180, PARQUE DAS FONTES - CEP: 13940-000, AGUAS DE LINDOIA - SAO PAULO

Área útil

52,89m2

Área terreno

416,00m2

Compre já

Valor

R$ 153.487,18

Avaliação

R$ 250.671,32

Economia de até 38.77%