Home / MG / Pouso Alegre / Terreno Leilão Judicial Direitos - Terreno c/ 314,76m² - Pouso Alegre/MG

Terreno Leilão Judicial Direitos - Terreno c/ 314,76m² - Pouso Alegre/MG

Link copiado para a área de transferência!
Leilão Judicial
9d 4h
Pouso Alegre/MG

Lance inicial

R$ 198.000,00

Economia de até 40.00%

Avaliação

R$ 330.000,00

Taxa de comissão

5%

DÊ SEU LANCE

Descrição do Imóvel

Título: Direitos - Terreno c/ 314,76m² - Pouso Alegre/MG
Tipo de imóvel: Terreno
Estado: Minas Gerais
Cidade: Pouso Alegre
Bairro:
Número de identificação: LJ134294
Leiloeiro: Thaís Costa Bastos Teixeira
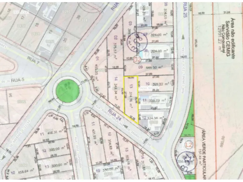
Descrição: Dê seu lance em Leilão Judicial de Terreno. Direitos Possessórios sobre terreno c/ 314,76m², lote nº 13, da quadra G2, Rua Romero Magalhães do Amaral Toledo, Loteamento Setvillage Las Palmas - Fase II, Bairro do Ipiranga, Pouso Alegre/MG, CRI nº 93.979. (Proc. 5006802-68.2020.8.13.0525)

Características

Tipo: Leilão Judicial

Condições

Forma de pagamento: Ver edital
Regra:Ver edital

Localização

Fase do Leilão

07/05/2026 às 13:00
1º Leilão

Lance inicial: R$ 198.000,00

Thaís Costa Bastos Teixeira

22/05/2026 às 16:00
2º Leilão

Lance inicial: R$ 198.000,00

Thaís Costa Bastos Teixeira

08/06/2026 às 16:00
3º Leilão

Lance inicial: R$ 198.000,00

Thaís Costa Bastos Teixeira

Site do Leilão

Responsável pelo Leilão

Responsável

Justiça Estadual De Pouso Alegre/MG

www.thaisteixeiraleiloes.com.br

Calculadora de leilão

Resultado:

Custo Total Estimado: R$ 0,00

* O ITBI costuma variar entre 2% e 5%, consulte o município.
Escritura: geralmente entre 1% e 3% do valor do imóvel, conforme tabela do estado.
Registro: varia de 1% a 2%, dependendo da localização e tabela do cartório.
Considere outros custos também, como Honorários de Assessoria Jurídica, condomínio, etc.

Mais imóveis em leilão - Pouso Alegre Minas Gerais

Casa em Leilão Extrajudicial
Leilão Extrajudicial
14d 2h

Casa - Pouso Alegre - MG

Travessa Pedro Adão, 67 - Centro - Pouso Alegre / MG

Área útil

163

Área terreno

156

1º Leilão

12/05/2026 às 11:02

Valor inicial

R$ 532.700,00

Avaliação

R$ 532.700,00

Casa em Venda Direta
Venda Direta
13d 7h

Casa - Pouso Alegre - MG

Pouso Alegre/MG

Compre já

Valor

R$ 175.000,00

Avaliação

R$ 350.000,00

Economia de até 50.00%

Apartamento em Leilão Extrajudicial
Leilão Extrajudicial
14d 3h

Apartamento - Pouso Alegre - MG

Rua Luiz Lourenco Horta, 105, Apto 301, Edifiicio Residencial Moreira I, Residencial Santa Rita, Pouso Alegre, MG

1º Leilão

12/05/2026 às 11:48

Valor inicial

R$ 259.200,00

Avaliação

R$ 259.200,00